釣果一覧
釣果トップ
全記事 4ページ目
20265/10日曜日
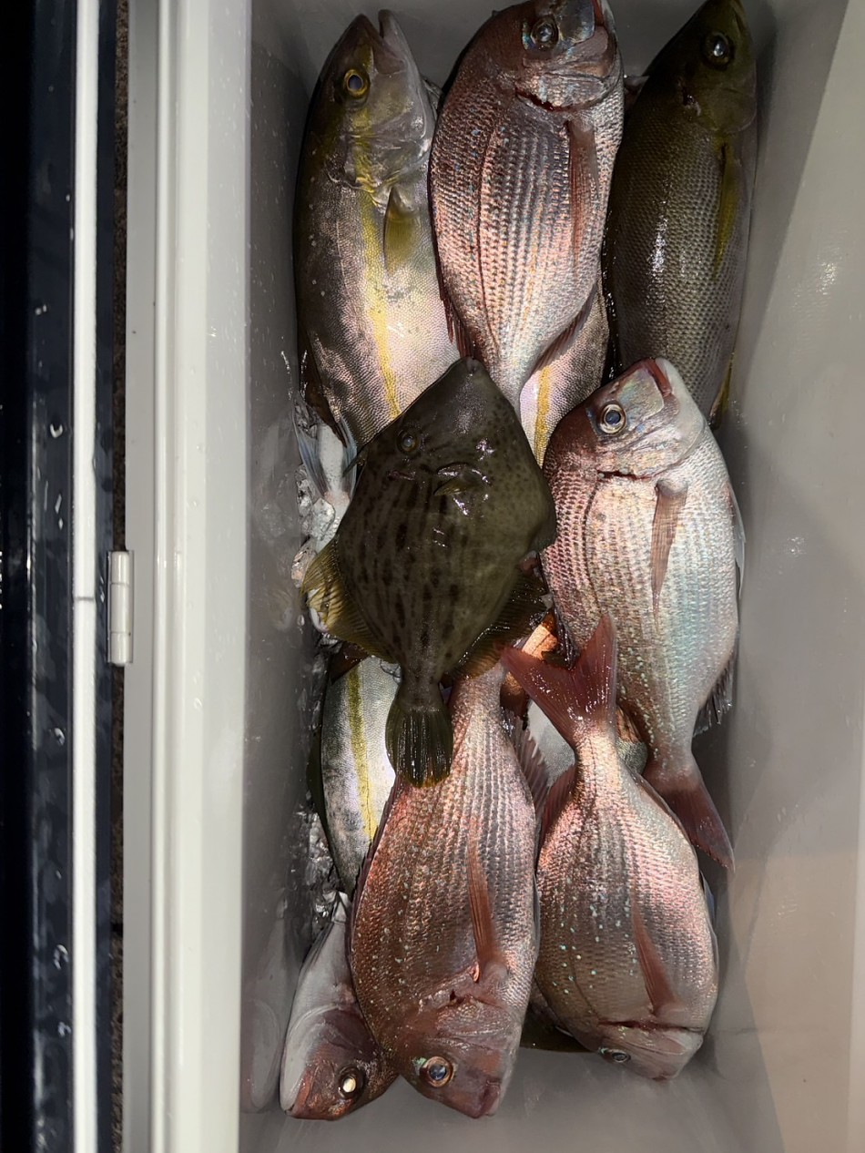
5月 10日(日)午前、午後アジ釣り
朝一大アジみんなに釣れ今日はいいのかと思いましたがだんだんとぶっ飛び潮になり喰わなくなってしまった。潮流れないところは喰い続かず難しい釣りでした。
月間アーカイブ
- 2026年05月 (30)
- 2026年04月 (50)
- 2026年03月 (55)
- 2026年02月 (47)
- 2026年01月 (57)
- 2025年12月 (55)
- 2025年11月 (64)
- 2025年10月 (63)
- 2025年09月 (47)
- 2025年08月 (60)
- 2025年07月 (50)
- 2025年06月 (66)
- 2025年05月 (37)
- 2025年04月 (41)
- 2025年03月 (40)
- 2025年02月 (41)
- 2025年01月 (52)
- 2024年12月 (56)
- 2024年11月 (54)
- 2024年10月 (49)
- 2024年09月 (36)
- 2024年08月 (41)
- 2024年07月 (57)
- 2024年06月 (57)
- 2024年05月 (43)
- 2024年04月 (40)
- 2024年03月 (46)
- 2024年02月 (31)
- 2024年01月 (44)
- 2023年12月 (37)
- 2023年11月 (50)
- 2023年10月 (50)
- 2023年09月 (48)
- 2023年08月 (28)
- 2023年07月 (49)
- 2023年06月 (31)
- 2023年05月 (31)
- 2023年04月 (35)
- 2023年03月 (46)
- 2023年02月 (35)
- 2023年01月 (39)
- 2022年12月 (39)
- 2022年11月 (38)
- 2022年10月 (37)
- 2022年09月 (31)
- 2022年08月 (21)
- 2022年07月 (22)
- 2022年06月 (24)
- 2022年05月 (28)
- 2022年04月 (23)
- 2022年03月 (26)
- 2022年02月 (31)
- 2022年01月 (30)
- 2021年12月 (28)
- 2021年11月 (35)
- 2021年10月 (35)
- 2021年09月 (39)
- 2021年08月 (20)
- 2021年07月 (27)
- 2021年06月 (33)
- 2021年05月 (31)
- 2021年04月 (25)
- 2021年03月 (28)
- 2021年02月 (31)
- 2021年01月 (27)
- 2020年12月 (34)
- 2020年11月 (40)
- 2020年10月 (37)
- 2020年09月 (27)
- 2020年08月 (22)
- 2020年07月 (27)
- 2020年06月 (28)
- 2020年05月 (30)
- 2020年04月 (13)
- 2020年03月 (22)
- 2020年02月 (34)
- 2020年01月 (25)
- 2019年12月 (39)
- 2019年11月 (43)
- 2019年10月 (30)
- 2019年09月 (32)
- 2019年08月 (15)
- 2019年07月 (30)
- 2019年06月 (29)
- 2019年05月 (31)
- 2019年04月 (23)
- 2019年03月 (26)
- 2019年02月 (31)
- 2019年01月 (39)
- 2018年12月 (24)
- 2018年11月 (50)
- 2018年10月 (45)
- 2018年09月 (37)
- 2018年08月 (22)
- 2018年07月 (24)
- 2018年06月 (38)
- 2018年05月 (34)
- 2018年04月 (24)
- 2018年03月 (28)
- 2018年02月 (28)
- 2018年01月 (18)
- 2017年12月 (25)
- 2017年11月 (48)
- 2017年10月 (36)
- 2017年09月 (41)
- 2017年08月 (17)
- 2017年07月 (41)
- 2017年06月 (41)
- 2017年05月 (44)
- 2017年04月 (28)
- 2017年03月 (14)
- 2017年02月 (19)
- 2017年01月 (23)
- 2016年12月 (31)
- 2016年11月 (43)
- 2016年10月 (42)
- 2016年09月 (46)





































