釣果一覧
釣果トップ
月間アーカイブ「 2025年09月 」1ページ目
20259/30火曜日
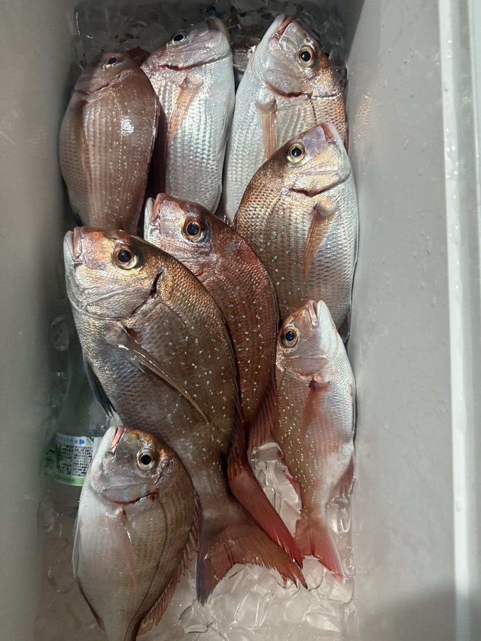
9月 30日(火)午後便・ウタセ真鯛
鯛がいい感じに釣れております!チダイも型良いのばかり35cm〜40cm級!真鯛83cm.70cmと大型も GET!!夕まずめにはシオの当たりあり切れていくのもありましたがシオが2本上がりました
月間アーカイブ
- 2026年05月 (61)
- 2026年04月 (50)
- 2026年03月 (55)
- 2026年02月 (47)
- 2026年01月 (57)
- 2025年12月 (55)
- 2025年11月 (64)
- 2025年10月 (63)
- 2025年09月 (47)
- 2025年08月 (60)
- 2025年07月 (50)
- 2025年06月 (66)
- 2025年05月 (37)
- 2025年04月 (41)
- 2025年03月 (40)
- 2025年02月 (41)
- 2025年01月 (52)
- 2024年12月 (56)
- 2024年11月 (54)
- 2024年10月 (49)
- 2024年09月 (36)
- 2024年08月 (41)
- 2024年07月 (57)
- 2024年06月 (57)
- 2024年05月 (43)
- 2024年04月 (40)
- 2024年03月 (46)
- 2024年02月 (31)
- 2024年01月 (44)
- 2023年12月 (37)
- 2023年11月 (50)
- 2023年10月 (50)
- 2023年09月 (48)
- 2023年08月 (28)
- 2023年07月 (49)
- 2023年06月 (31)
- 2023年05月 (31)
- 2023年04月 (35)
- 2023年03月 (46)
- 2023年02月 (35)
- 2023年01月 (39)
- 2022年12月 (39)
- 2022年11月 (38)
- 2022年10月 (37)
- 2022年09月 (31)
- 2022年08月 (21)
- 2022年07月 (22)
- 2022年06月 (24)
- 2022年05月 (28)
- 2022年04月 (23)
- 2022年03月 (26)
- 2022年02月 (31)
- 2022年01月 (30)
- 2021年12月 (28)
- 2021年11月 (35)
- 2021年10月 (35)
- 2021年09月 (39)
- 2021年08月 (20)
- 2021年07月 (27)
- 2021年06月 (33)
- 2021年05月 (31)
- 2021年04月 (25)
- 2021年03月 (28)
- 2021年02月 (31)
- 2021年01月 (27)
- 2020年12月 (34)
- 2020年11月 (40)
- 2020年10月 (37)
- 2020年09月 (27)
- 2020年08月 (22)
- 2020年07月 (27)
- 2020年06月 (28)
- 2020年05月 (30)
- 2020年04月 (13)
- 2020年03月 (22)
- 2020年02月 (34)
- 2020年01月 (25)
- 2019年12月 (39)
- 2019年11月 (43)
- 2019年10月 (30)
- 2019年09月 (32)
- 2019年08月 (15)
- 2019年07月 (30)
- 2019年06月 (29)
- 2019年05月 (31)
- 2019年04月 (23)
- 2019年03月 (26)
- 2019年02月 (31)
- 2019年01月 (39)
- 2018年12月 (24)
- 2018年11月 (50)
- 2018年10月 (45)
- 2018年09月 (37)
- 2018年08月 (22)
- 2018年07月 (24)
- 2018年06月 (38)
- 2018年05月 (34)
- 2018年04月 (24)
- 2018年03月 (28)
- 2018年02月 (28)
- 2018年01月 (18)
- 2017年12月 (25)
- 2017年11月 (48)
- 2017年10月 (36)
- 2017年09月 (41)
- 2017年08月 (17)
- 2017年07月 (41)
- 2017年06月 (41)
- 2017年05月 (44)
- 2017年04月 (28)
- 2017年03月 (14)
- 2017年02月 (19)
- 2017年01月 (23)
- 2016年12月 (31)
- 2016年11月 (43)
- 2016年10月 (42)
- 2016年09月 (46)

























